Notes (0)
DOM DO KAPITALNEGO REMONTU ,NIE KOSMETYKA A KAPITALNY REMONT LUB REMONT I PRZEBUDOWA.
Szczelny dach.

Do sprzedania nieruchomość położona w REWELACYJNYM miejscu na Warszewie w Szczecinie przy ul. Rostockiej tj. zabudowana działka gruntu o pow. 859 m2, a na niej dom jednorodzinny z garażem o pow. całkowitej 216 m2 (użytkowej 145 m2) .

Dom pochodzi 1985 r. i wybudowany jest w technologii tradycyjnej murowanej. Jest ocieplony styropianem, więźba dachowa drewniana, dach pokryty blachodachówką, stolarka okienna pcv i drewniana starego typu.
Ogrzewanie i ciepła woda z kotła gazowego. Dodatkowo można podgrzewać wodę z bojlera elektrycznego na wodę co może obniżyć rachunki za gaz.

Dom jest w stanie do kapitalnego remontu.

UWAGA!
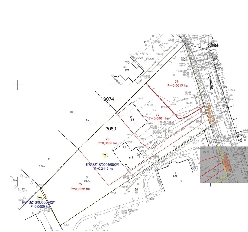
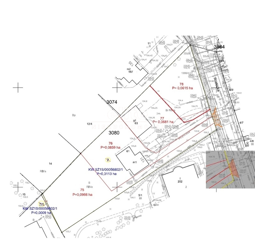
Umiejscowienie przedmiotowej nieruchomości ( domu na działce 859m2 ) na większej działce będącej w trakcie podziału ( zdjęcia z drona) oraz nowo wytyczony dojazd prowadzący do ulicy Rostockiej   dokładnie pokazuje rysunek wstępnego podziału działki zamieszczony   na zdjęciu nr 4.

Parter domu to: garaż 22,3   m2,holl 4,67 m2, komunikacja 6,15 m2, kuchnia 5,5 m2, pokój 20,39 m2, pokój 11,76 m2 ,łazienka 3,39 m2, pom. gospodarcze 2,6 m2 ,kotłownia 8,25 m2. Z korytarza zejście do piwniczki ok 10m2.
Piętro: klatka schodowa 7,73 m2 , pokój 17,24 m2, pokój 15,67 m2 , kuchnia 3,18 m2, łazienka 4,63 m2
Poddasze (w tym momencie jako pomieszczenia strychowe) : klatka schodowa 3,3 m2,   strych 18,80 m2 , strych 11,82 m2.

Wzdłuż południowej granicy działki nasadzone są wysokie gęste   krzewy w formie żywopłotu   co zapewnia kameralność.
Przystanek autobusu linii miejskiej znajduje się tuż przy wyjeździe z działki na ul. Rostockiej.

Na terenie na którym znajdują się działki obowiązuje Miejscowy Plan Zagospodarowania Przestrzennego który określa m. in. następujące warunki dla tych działek:
Zabudowa jednorodzinna.
Minimalny udział terenu powierzchni biologicznie czynnej : minimalnie 50% powierzchni działki budowlanej.
Nieprzekraczalne linie zabudowy oznaczone na rysunku planu.
Maksymalna powierzchnia zabudowy na działce budowlanej 30%.
Maksymalna wysokość budynków mieszkalnych 3 kondygnacje naziemne, w tym 3 kondygnacja użytkowa w stromym dachu nie więcej niż do wysokości 12 m liczonej do kalenicy.
Forma budynków -wolnostojące.
Budynki kryte dachami stromymi.
Nieruchomość jest bardzo atrakcyjna ze względu na położenie w jednej z najbardziej pożądanych dzielnic w mieście. Działka jest w pełni uzbrojona do domu doprowadzone są wszystkie media :woda , prąd , gaz , kanalizacja. Z uwagi na powyższe jest to bardzo dobra oferta.
Oferta biura nieruchomości.
Zapraszam na prezentację.

Każdy zainteresowany zakupem nieruchomości z naszego biura nieruchomości ma gwarantowaną obsługę w zakresie uzyskania kredytu (bez prowizji od kupującego i dodatkowych kosztów związanych z załatwieniem kredytu). Współpracując z sprawdzonym brokerem kredytowym na rynku polskim możemy sprawdzić dla Państwa zdolność kredytową w ponad 20 bankach. O szczegóły proszę pytać agenta odpowiedzialnego za to ogłoszenie.

Kupujemy nieruchomości za gotówkę, również zadłużone: mieszkania, domy, działki - płacimy natychmiast!

 Powyższe ogłoszenie ma wyłącznie charakter informacyjny. Nie stanowi ono oferty w myśl art. 66 i n. ustawy z dnia 23.04.1964r. Kodeks cywilny (Dz.U. 1964r. Nr 16, poz. 93, ze zm.).

ELITE nieruchomości

tel. 91 817 17 17

tel. 91 817 17 17

tel. 91 817 17 17

zainteresowania@elite.nieruchomosci.pl

Wyrażam zgodę na przetwarzanie danych
790 000 Do kapitalnego remontu
Domy na Sprzedaż
nr. oferty 413642
Cena
790 000 zł
Cena za m2
5 448 zł
Miejscowość
Szczecin, Warszewo
Rodzaj budynku
Wolnostojący
Stan prawny
Własność
Rok budowy
1984
Powierzchnia
145 m2
Powierzchnia działki
858 m2
Kształt działki
Trapez
Standard
Do kapitalnego remontu
Liczba pokoi
6
Ogrzewanie
Gazowe
Ciepła woda
Piec gazowy, Solar
Dodatkowe
Garaż, Ogród, Piwnica

Chcesz otrzymywać podobne oferty?

Skorzystaj z automatycznych powiadomień e-mail o nowych ogłoszeniach w wybranych kryteriach wyszukiwania