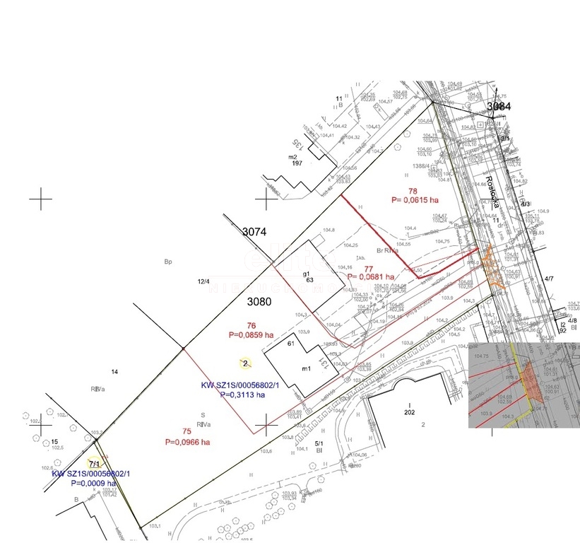
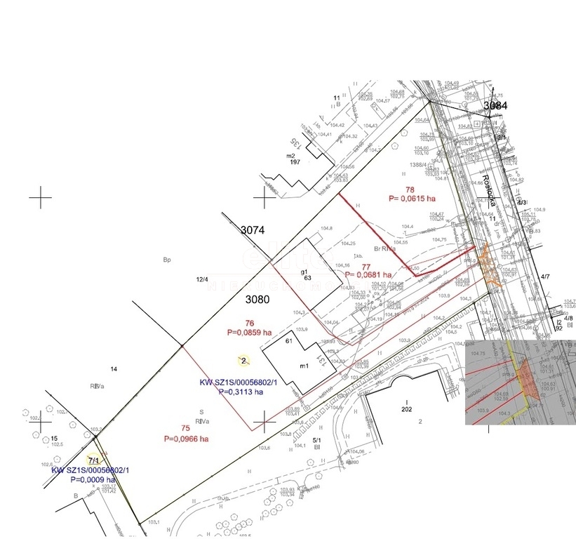
Na zdjęciu nr2 pokazana jest przedmiotowa działka . Jest to czwarta działka od ul. Rostockiej za działką zabudowaną domem.
Na terenie na którym znajdują się działka obowiązuje Miejscowy Plan Zagospodarowania Przestrzennego, który m.in. określa następujące warunki dla tych działek:
Zabudowa jednorodzinna.
Minimalny udział terenu powierzchni biologicznie czynnej : minimalnie 50% powierzchni działki budowlanej.
Nieprzekraczalne linie zabudowy oznaczone na rysunku planu
Maksymalna powierzchnia zabudowy na działce budowlanej 30%
Maksymalna wysokość budynków mieszkalnych 3 kondygnacje naziemne , w tym 3 kondygnacja użytkowa w stromym dachu nie więcej niż do wysokości 12 m liczonej do kalenicy
Forma budynków -wolnostojące
Budynki kryte dachami stromymi
Zakaz zmiany kompozycji budynku historycznego oznaczonego na rysunku planu (budynek gospodarczy)-Jest pozwolenie na wyburzenie tego budynku.
Zapraszam na prezentację
Oferta biura nieruchomości
Każdy zainteresowany zakupem nieruchomości z naszego biura nieruchomości ma gwarantowaną obsługę w zakresie uzyskania kredytu (bez prowizji od kupującego i dodatkowych kosztów związanych z załatwieniem kredytu). Współpracując z sprawdzonym brokerem kredytowym na rynku polskim możemy sprawdzić dla Państwa zdolność kredytową w ponad 20 bankach. O szczegóły proszę pytać agenta odpowiedzialnego za to ogłoszenie.
Kupujemy nieruchomości za gotówkę, również zadłużone: mieszkania, domy, działki - płacimy natychmiast!
Powyższe ogłoszenie ma wyłącznie charakter informacyjny. Nie stanowi ono oferty w myśl art. 66 i n. ustawy z dnia 23.04.1964r. Kodeks cywilny (Dz.U. 1964r. Nr 16, poz. 93, ze zm.).
Chcesz otrzymywać podobne oferty?
Skorzystaj z automatycznych powiadomień e-mail o nowych ogłoszeniach w wybranych kryteriach wyszukiwania









